[푸켓/푸껫] 빠통, 카타, 나이한 비치 4곳 비교 (스노클링, 아오사네 비치, 프리다이빙 후기)
안녕하세요.
이번에 프리랜서로 전향하며 일정이 자유로워짐에 따라 고대하던 푸켓 여행을 다녀올 수 있게 되었습니다. 😀
저의 취미가 수영과 프리다이빙이기 때문에 푸켓을 가기 전에 네이버 카페, 블로그 등을 살펴보는데 생각보다 푸켓에 스노클링과 프리다이빙에 대한 글이 없어서 여러분께 도움이 되고자 직접 다녀온 뒤 각 바다를 비교해보고 글을 작성하니 혹시 여행할때 스노클링이나 프리다이빙을 하실 계획이 있으신 분들은 글을 참고하셔서 좋은 여행 하시면 좋을 것 같습니다.
(카타/까타 비치는 카론 비치와 환경이 비슷하다고 해서 따로 방문하진 않았어요.)

빠통 (Patong)
빠통의 빠통 비치는 수상스포츠와 해수욕을 하는 곳이 부표같은 라인으로 구분되어 있고 해수욕을 하는 곳은 크지 않기 때문에 비교적 수상스포츠(패러세일링, 제트스키, 바나나보트 등) 또는 비치에서 일광욕을 즐기시는 분이 많아요.
푸켓에서 사람이 가장 많이 모이는 곳에 있는 해변이기 때문에 활기찬 느낌을 주는 해변입니다.
파도가 강해 스노클링, 프리다이빙엔 부적합하고 파도가 강한 시즌에 따라 서핑을 할 수 있다고 하네요.


카론/까론 (Karon)
카론 비치는 내가 해외로 나왔구나 라고 다시금 상기시켜 주는 바다예요. 굉장히 넓고 긴 해변에 비치발리볼, 페러세일링, 해수욕을 하는 사람들이 보이는 굉장히 자유로운 분위기의 해변이었습니다. 그리고 파도가 크게 일렁이는 편이어서 많은 사람들이 대형 파도풀에서 노는 것처럼 즐기는 것을 보실 수 있어요.
게다가 대부분의 호텔이 해변에서 걸어서 5분 거리에 위치하고 있기 때문에 상가를 지나쳐야 하는 빠통보다 접근성이 좋다는게 장점이네요 😀
단점으로는 여기도 파도가 있어서 스노클링과 프리다이빙을 하기엔 부적합하고 제가 3월에 방문했는데 이때가 해파리 시즌인지 물놀이를 하다가 해파리에 쏘였었어요. 바닷속에 시야가 없는 수준이라 해파리 시즌에 방문하신다면 쏘이지 않게 조심하셔야 할 것 같습니다.


카론의 마지막 장점은 노을인데요. 해변에 누워서 일몰시간을 기다리고 있으면 온 세상이 노랗고, 붉은색으로 물드는 경험을 하실 수 있습니다. 만약 카론비치에 방문하신다면 해변에 비치수건을 깔고 느긋하게 일몰을 기다려보시는 걸 추천드릴게요!



나이한 (Nai harn)
나이한은 크게 나이한 비치, 아오사네 비치가 있습니다. 푸켓에서 상당히 아래쪽에 있어 이곳을 방문할지 고민을 많이 했었는데요.
2개의 비치 중 아오사네 비치가 프리다이빙에 좋다는 후기를 보고 한번 방문해봤습니다. 결과적으로는 나이한이 주는 감성과 아오사네 비치덕에 나이한은 푸켓에서 제가 가장 좋아하는 장소가 되어버렸어요. 🙂
1) 나이한 비치
나이한 비치는 나이한의 메인 비치이며 모래로 이루어진 작은 해변이에요. 해변이 만 형태로 되어 있어 파도도 적게 치는 곳입니다. 나이한 비치에서 수상스포츠는 보지 못했고 앞의 먼 바다 곳곳에 고급스러운 요트들이 있어 유럽 감성이 물씬 느껴지는 곳이었어요. 파도도 적게 치고 빠통, 카론과 비교해서 물이 가장 맑았습니다 :)
(오고 가며 본 거라 나이한 비치는 사진이 없네요 📸)
2) 아오사네 비치
아오사네 비치는 접근성 측면에서는 가장 좋지 않은 해변입니다. 걸어서는 갈 수 없는 거리에 있고 가는 길이 험해서 오토바이를 렌트하고 조심스럽게 가야 하거든요. 그리고 아직 정돈되지 않고 개발 중인 해변이기 때문에 날것(?)의 느낌이 강한 해변이에요.
하지만 그만큼 도착했을 때 숨겨진 해변을 찾는 보물찾기 같은 느낌을 줍니다. 😀


아오사네 비치는 굉장히 작습니다. 가로로 한 50m쯤 밖에 안 되는 것 같아요. 아직 개발 중인 곳이라 곳곳에 공사 폐기물이 있지만 다행히 쓰레기가 해변에만 모여 있어서 바다는 깨끗합니다. 제가 방문할 때는 약 10명 정도의 사람밖에 없어서 조용하고 느긋한 느낌을 주는 곳이에요.

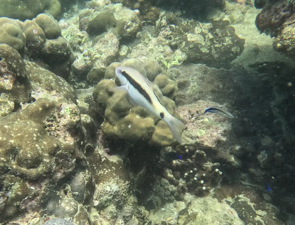
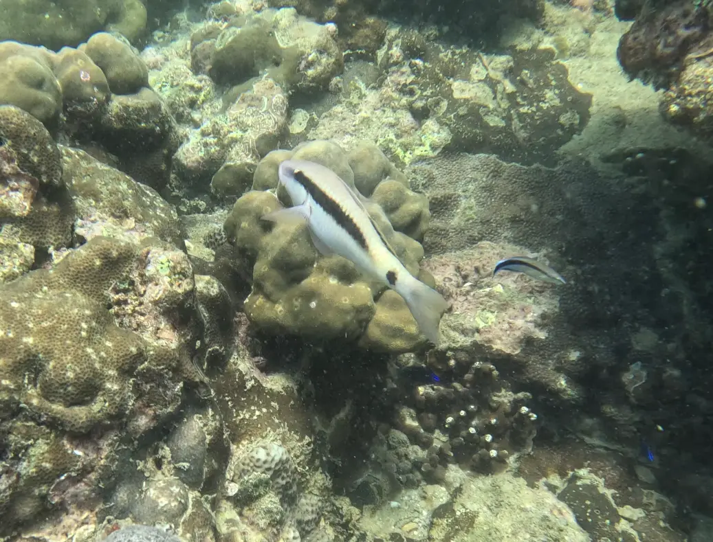
바다로 들어가게 된다면 파도도 얕고 물이 깨끗해서 스노클링, 프리다이빙하기에 가장 좋은 비치라고 생각해요. 해양생물은 산호 근처에 가면 열 마리 이상 볼 수 있고 가끔 무리 지어 이동하는 부류가 있으니 스노클링 하기에도 심심하지 않은 곳이라고 느껴졌네요 🐠
깊은 곳의 수심은 6~10m 정도고 해변에서 20m 정도만 수영해서 들어가면 됩니다.




하지만 여기도 마찬가지로 해파리 시즌엔 해변 근처에 해파리가 정말 정말 많아요. 아오사네 비치의 좌측의 바위 근처로 진입하면 해파리나 바닷속의 산호로 부터 소중한 핀을 지키실 수 있어요..:( 처음에는 모르고 그냥 들어갔다가 머리로 해파리 떼를 뚫고 지나가야 했는데 굉장히 울고 싶었습니다

정리
위 글을 정리하면 아래와 같이 정리할 수 있어요 😀
빠통 비치 - 수상스포츠, 물놀이 (작음)
카론 비치 - 물놀이, 일몰
나이한 비치 - 작고 예쁜 해변, 물 색이 예쁨
아오사네 비치 - 프리다이빙, 스노클링
